
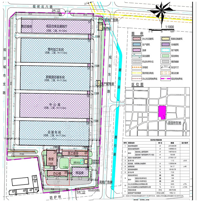
石河子市BG大游集团现在林业紫装研发制做和智力制做研发产业园建设规划内容网站内容选择:设在石河子总场,乌伊铁路桥北,未来计划东八路西,北八路南,未来计划东小道东,土地征用适用占地面:247269.09㎡,总注资大规模及网站内容:84000万,拟土地征用适用占地面370.68亩,总房屋适用占地面149852.27平米,另外包函接待室楼、职员白俄罗斯寝室、伙房、仿品库、器件工作車间、新发热能源总装車间、中间库、总装車间、制成品库房、一#门岗保安(防火栓操作室)、2#门岗保安、连廊、檐廊、非机动性车泊车棚、传热站、生产加工供高低压电气安装室、居住供高低压电气安装室、防火栓泵房及防火栓蓄水池。



